




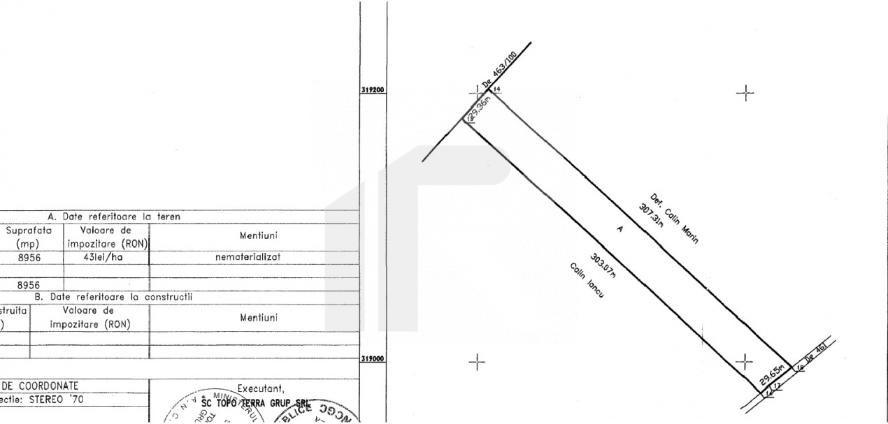
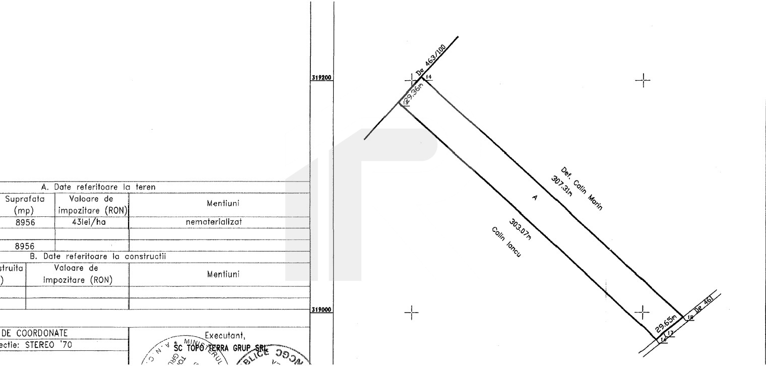
Vă propun spre achiziție un teren intravilan generos, situat în zona Cernica – Poștă, într-un cadru natural deosebit, chiar în proximitatea pădurii, ideal pentru dezvoltări rezidențiale sau proiecte investiționale.
Cu o suprafață de 8.956 mp și o formă dreptunghiulară eficientă, terenul oferă flexibilitate excelentă pentru parcelare sau dezvoltarea unui ansamblu de locuințe, beneficiind de două fronturi stradale și o deschidere de aproximativ 29,65 ml.